BASSET DES LAURIERS, BÉNIGNE, notary, clerk of court, and surveyor at Montreal, son of Jean Basset, lute-player for the pages of the king’s chamber, and of Catherine Gaudreau; b. c. 1639 in Paris; d. 4 Aug. 1699 at Montreal.

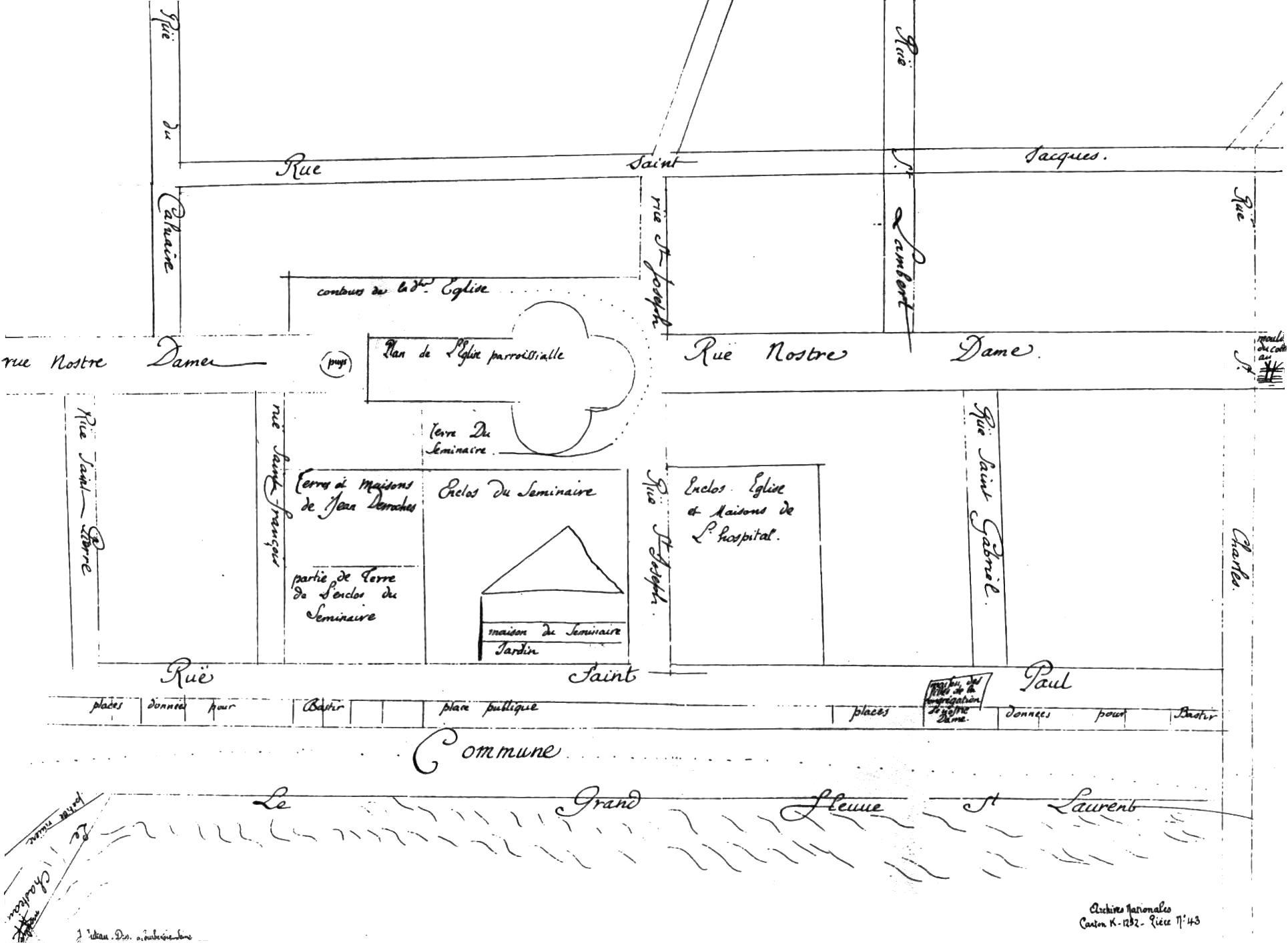
Bénigne Basset seems to have arrived at Montreal in 1657, together with the first Sulpicians, who made him their representative in the bailiff’s court. In 1657 also, following the assassination of Jean de Saint-Père, they appointed him seigneurial notary and clerk of the tribunal. He further became the secretary of the charitable organization and council of the parish of Notre-Dame. The Sieur Gaudais-Dupont appointed him royal notary, and his appointment was ratified by the Conseil Souverain on 18 Oct. 1663. When royal justice was abolished at Montreal (1666), Basset once more became a seigneurial notary. He was also a surveyor: we owe to him the plan of the first streets of Montreal in 1672. As a notary Basset, who made a proud show of his fine handwriting, long had the best clientele in the town. He signed some 2,525 acts, which have come down to us in a perfect state of preservation.

He did however have difficulties of a professional nature. In 1677 he lost his position as a clerk of court and was forbidden by Judge Migeon de Branssat, who often complained of his negligence, to exercise the profession of notary. His name was cleared shortly afterwards, and he was able once more to draw up documents as a notary. Moreover, from 1686 to 1690 he was clerk of court for the intendant’s subdelegate. He passed away in 1699 at Montreal.

On 24 November 1659, at Ville-Marie, he had married Jeanne de Vauvilliers, a native of Paris like himself, who had arrived in the country the preceding summer and had received a dowry from Louis dAilleboust, the former governor of New France. She died in the summer of 1699, a few days before her husband.

In 1662 Basset had received a grant of land at the foot of the hill called Mont Royal, to the west of what is today the avenue du Parc. A small street in that locality still recalls his name. He also had two other properties, in the rue Saint-Paul.

Jean-Jacques Lefebvre

AJM, Greffe de Bénigne Basset, 1657–99. Jug. et délib., I, 33.

BRH, XXXVII (1931), 122, 126, 312; XLII (1936), 73–76; XLIII (1937), 106; XLIX (1943), 165. William McLennan, “Anciens montréalais, I: Bénigne Basset, notaire royal, 1639–1699,” Le Canada Français, 2e série, III (1919–20), 469–77. É.-Z. Massicotte, “Les colons de Montréal de 1642 à 1667,” in RSCT, 3d ser., VII (1913), sect. i, 25, and in BRH, XXXIII (1927), 238. J.-E. Roy, Histoire du notariat, I, 68. Tanguay, Dictionnaire, I, 28.

Revisions based on:
Bibliothèque et Arch. Nationales du Québec, Centre d’arch. de Montréal, CE601-S51, 24 nov. 1659.

Cite This Article

Jean-Jacques Lefebvre, “BASSET DES LAURIERS, BÉNIGNE,” in Dictionary of Canadian Biography, vol. 1, University of Toronto/Université Laval, 2003–, accessed December 28, 2025, https://www.biographi.ca/en/bio/basset_des_lauriers_benigne_1E.html.

The citation above shows the format for footnotes and endnotes according to the Chicago manual of style (16th edition). Information to be used in other citation formats:


Permalink:   https://www.biographi.ca/en/bio/basset_des_lauriers_benigne_1E.html
Author of Article:   Jean-Jacques Lefebvre
Title of Article:   BASSET DES LAURIERS, BÉNIGNE
Publication Name:   Dictionary of Canadian Biography, vol. 1
Publisher:   University of Toronto/Université Laval
Year of publication:   1966
Year of revision:   2015
Access Date:   December 28, 2025